毎年、正月番組「芸能人格付けチェック」を見ています。
2026年のオーケストラの聞き分けは、「102億4千万円の世界的名器と総額1000万円の楽器による弦楽八重奏」でした。
正直自分には全く区別がつかなかったので、そもそもテレビのスピーカーから流れる音に違いがあるのかどうか、音声スペクトラムで可視化してみることにしました。
仮説
曲全部を比べても長すぎて意味がないので、ラストの数秒だけに限定して比較してみます。
家庭のテレビのスピーカーの性能では、微妙な音の違いを区別して発することがもはや出来ないのでは、と想像しています。
結果
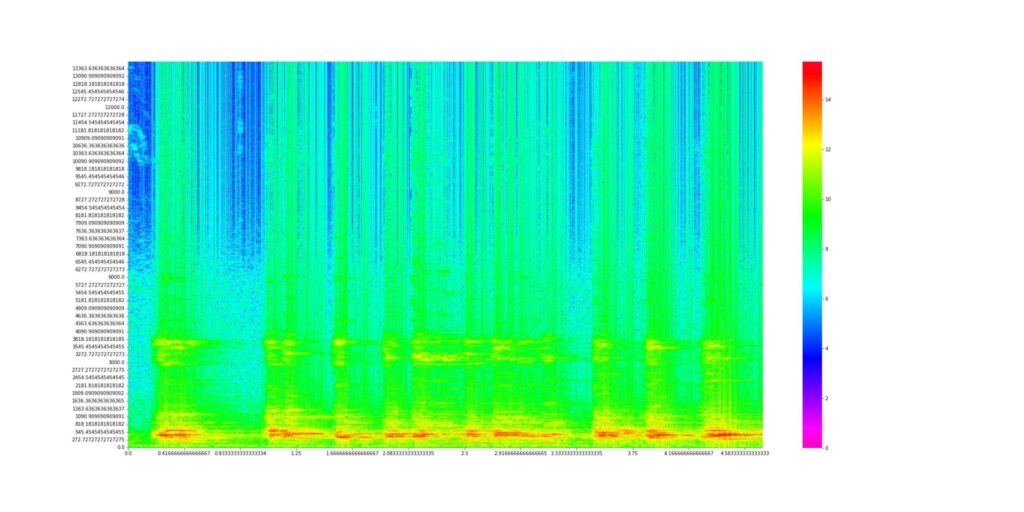
上がA(正解である102億4千万円の八重奏)、下がB(1000万円の八重奏)です。
パッと見はそっくりですが、よく見ると違う特徴がありました。


下図は、正解であるAの音声です。注目するのはこの辺りでしょうか。
1000ヘルツから3500ヘルツあたりが、Bに比べてよく音が出ているようです。

そういえばGACKTが言っていました。
「今回は演奏として聞いたら間違う。2000ヘルツから6000ヘルツあたりがどう響いているかを聞かないと。」と。
少なくとも今回の比較では、Aの方がまんべんなく色々な周波数(倍音)が響いていると言えそうです。
まとめ
- A(102億4千万円の八重奏)は力を入れて響かせなくても(つまりピアニッシモでも)倍音がよく響く
- 家庭用テレビで聞こえる音でも違いはある

【Excel】ピタゴラス音律の周波数をエクセルで計算する
私は学生時代、音楽の授業が苦手で嫌いでした。音階というルールそのものの普遍性が分からないというか、根拠が分からないというか。ただ逆に、そんな音階の理屈が実は物理・数学的だということを知ってからは興味が湧きました。

人によって聞こえ方が異なる音声「撮ったのかよ」
昔、探偵ナイトスクープで話題になっていたガラケーのシャッター音。「撮ったのかよ!」と突っ込みを入れる音声なのに、人によって「エーアイアイ」と聞こえるのが話題でした。年齢にも無関係、さらには一人でどちらにも聞こえたりします。つまり特定の周波数が聞こえる or 聞こえないという事が要因でもなさそう。

子供の発音「おぺぺ」「おしぇんべぇ」「おせんべぇ」の変化
子供に幼児語で「ジューチュ飲みたいの?」と話しかけたら
「ジューチュじゃないよ、ジューチュだよ!」と言われたような経験はないでしょうか。
大人が言ったジューチュは正しくない発音と分かっていること、正しい「ジュース」の発音をちゃんと認識していることが分かります。

コメント